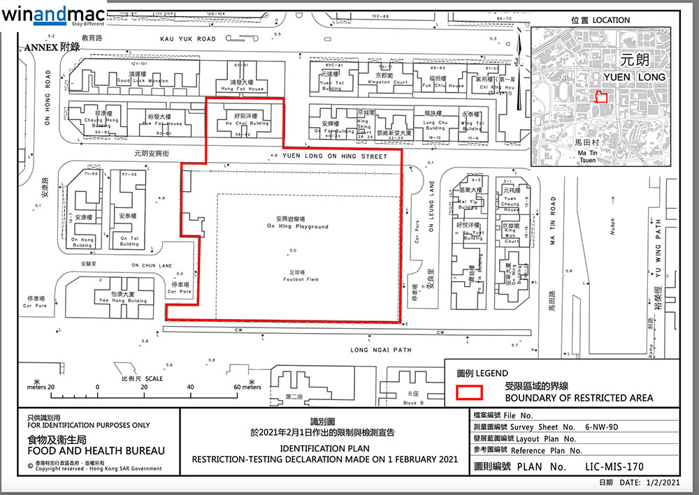
雖然多次封區中,已有兩次封區最終都係零確診,但政府早前記者會中已預告,未來仍然會繼續封區,而且做得更頻密。政府於7:00pm宣佈,再封鎖元朗和尖沙咀指定區域。元朗變成受限區域的地方為元朗安興街42至58A號元朗好彩洋樓,至於尖沙咀則以彌敦道80號金鑾大廈變成受限區域。
今次安排與過往類似,政府會在「受限區域」內設立臨時採樣站,不同的是,若果身在元朗受限區域的,要求受檢人士明天2:00am前接受檢測。至於在尖沙咀受限區域的,則要求受檢人士明天12:00am前接受檢測。有關人士要在其處所等候並接受強制檢測,直至區內所有人完成檢測,而相關檢測結果亦已獲大致確定,才可離開其處所。
兩個受限區域的目標都是一樣,希望在明天2月2日早上7:00am前完成行動。


